(42) 9 8811-2436 jakeimoveis@gmail.com
  • Restrito
logo
  • Home
  • Quem sou
  • Venda
  • Contato

Detalhes do imóvel

  • Home
  • Detalhes do imóvel

Ótimo terreno na entrada da Vila Palmeirinha!!!

Rua João Crevelin Sobrinho, Palmeirinha, São Mateus do Sul, Paraná

R$ 130.000,00

Previous Next

Características

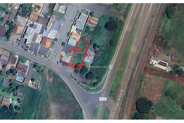
  • Área do Terreno: 574.14 mt2

Descrição

Área do terreno: 574,14 metros (14,49m x 39,50/39,76)

Simule aqui

Bradesco

    Caixa

Localização

Street View

Contato

  • Jacqueline de Fátima Cordeiro Nielsen
    Corretora de imóveis CRECI F20564
    Avaliadora de imóveis CNAI 006544
  • jakeimoveis@gmail.com
  • Jake Imoveis
  • (42) 9 9820-4762 TIM
  • (42) 9 8811-2436 CLARO

Links

  • Home
  • Quem sou
  • Venda
  • Contato
© 2020 Softniel's Soluções Empresariais